
Левая колонка
Фильтр
поделилась публикацией
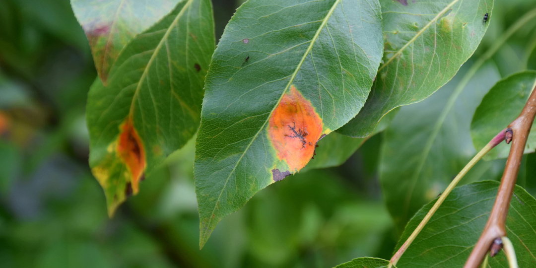
Обязательная обработка Груш от ржавчины. Забудьте про грибок и наслаждайтесь сочными плодами
Ржавчина груши – это грибковое заболевание, которое проявляется в виде ярко-оранжевых или ржавых пятен на листьях, плодах и иногда побегах груши. Это не только портит внешний вид дерева и урожая, но и может значительно ослабить растение, снизить его продуктивность и даже привести к гибели, особенно если поражение сильное и повторяется из года в год. Главный виновник – гриб Gymnosporangium sabinae, который имеет сложный жизненный цикл и требует наличия двух растений-хозяев для своего развития. Груша является промежуточным хозяином, а основным – можжевельник казацкий (реже другие виды можжевельника). Споры гриба переносятся ветром с можжевельника на грушу. Весной, в период повышенной влажности, эти споры прорастают и заражают грушевые деревья. Ржавчина на грушах, как правило, проявляется в мае-июне, но более заметна становиться в конце августа - начале осени. Именно в этот период времени пятна постепенно увеличиваются в размерах, становятся более выпуклыми и приобретают характерный ржавы
Показать еще
3 комментария
35 раз поделились
372 класса
- Класс
Поделилась темой
Поделилась темой
306 комментариев
5.3K раз поделились
50K классов
- Класс
Поделилась темой
114 комментариев
1.2K раз поделились
8.3K классов
- Класс
На этом пока всё
Войдите в ОК, чтобы посмотреть всю ленту
87
386
- Секреты домохозяйства1897110 подписчиков
- Готовим дома. Вкусная еда с любовью!1211041 подписчик
- ВкусНяшка🍳386131 подписчик
- С нами -Вкусно-120312 подписчиков
- Центр Здоровья16189 подписчиков