Предыдущая публикация
Следующая публикация
Свернуть поиск
Сервисы VK
MailПочтаОблакоКалендарьЗаметкиVK ЗвонкиVK ПочтаТВ программаПогодаГороскопыСпортОтветыVK РекламаЛедиВКонтакте Ещё
Войти
Мы используем cookie-файлы, чтобы улучшить сервисы для вас. Если ваш возраст менее 13 лет, настроить cookie-файлы должен ваш законный представитель. Больше информации
  • Главная
  • Увлечения
  • Видео
  • Группы
  • Люди
  • Публикации
  • Игры
  • Подарки
  • Поздравления
  • Помощь
  • русский
Левая колонка
Обложка профиля
Фотография от Алексей Мячиков

Алексей Мячиков

Последний визит: вчера 20:09
Фотография от Алексей Мячиков
Фотография от Алексей Мячиков
Фотография от Алексей Мячиков
Фотография от Алексей Мячиков
Фотография от Алексей Мячиков
Фильтр
ЗаметкиУвлечения
512878192885

Алексей Мячиков

21 мая
поделился публикацией
Студия ART Story
Студия ART Story
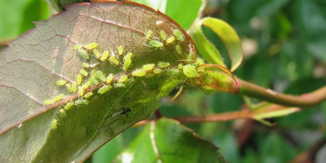
Тля - самые эффективные меры борьбы с опасным вредителем
Тля считается одним из наиболее серьезных вредителей в саду. Первые колонии насекомых могут активизироваться на растениях уже в мае, однако их губительное воздействие продолжается в июне и нередко сохраняется до середины лета – июля. Борьба с этим вредителем обязательна, поскольку он не только истощает культуры, вытягивая из них питательные соки и снижая устойчивость к внешним факторам, но и становится переносчиком опасных инфекций, включая вирусные заболевания. Секреты эффективного устранения тли с участка раскроют эксперты из садового центра Green Space. Тля принадлежит к группе сосущих насекомых-вредителей, представленных почти восьмьюстами разновидностями. Крайне редко встречаются культуры, полностью устойчивые к её атакам. Это мелкое насекомое, редко превышающее 2–3 мм в длину, обладает хрупким тельцем. Его окраска варьируется от светло-зелёной и молочно-белой до пепельно-серой или угольно-чёрной. Ключевой инструмент вредителя это тонкий заострённый хоботок, способный прокалывать
Тля - самые эффективные меры борьбы с опасным вредителем
Показать еще
0 комментариев
11 раз поделились
50 классов
  • Класс
512878192885

Алексей Мячиков

3 дек 2023
Поделился видео
Римма Плотникова

Римма Плотникова

СМОТРИТЕ ВСЕ ...- КАК ЖИВУТ ДЕТИ ДЕПУТАТОВ...
03:24
СМОТРИТЕ ВСЕ ...- КАК ЖИВУТ ДЕТИ ДЕПУТАТОВ...
3 462 055 просмотров
1.9K комментариев
20K раз поделились
84K классов
  • Класс
512878192885

Алексей Мячиков

13 июн 2022

Спасибо всем за поздравления!

  • Класс
512878192885

Алексей Мячиков

13 июн 2022
С днём рождения!
Борис Шварцман – Другие песни
3:30
  • Класс
512878192885

Алексей Мячиков

23 фев 2022

Благодарю за поздравления

  • Класс
512878192885

Алексей Мячиков

9 мая 2021

В День Победы благодарю всех ветеранов за подвиг, который они каждый день совершали во время войны.

...
  • Класс
На этом пока всё
Войдите в ОК, чтобы посмотреть всю ленту

126

  • Андрей Гачегов
    Андрей Гачегов
  • Алексей Дьяченко
    Алексей Дьяченко
    г. Асбест (Свердловская область)
  • Артем Иванов
    г. Асбест (Свердловская область)
  • Игорь Пинягин
    Игорь Пинягин
    Асбест
  • Нина )))
    Нина )))
    хренразбери

  • Бесплатная открытка с днем водителя, всех, кто водит автомобиль, коляску, с праздником
  • Бесплатная открытка листья, кофе, чашка, доброе утро, приятного дня, текст
  • Бесплатная открытка зонт, с первым днем осени, пусть она будет теплой, и самой лучшей, пожелание

Присоединяйтесь — мы покажем вам много интересного

Присоединяйтесь к ОК, чтобы посмотреть больше фото, видео и найти новых друзей.

Зарегистрироваться